रायपुर ,28अक्टूबर (वेदांत समाचार) । छत्तीसगढ़ में अगले 3 दिनों तक चक्रवात ‘मोंथा’ का असर देखने को मिलेगा। मौसम विभाग ने आज दक्षिण छत्तीसगढ़ के पांच जिलों नारायणपुर, बस्तर, बीजापुर, दंतेवाड़ा और सुकमा में भारी बारिश का रेड अलर्ट जारी किया है।
कोंडागांव, कांकेर, धमतरी और गरियाबंद में ऑरेंज अलर्ट है। रायपुर और बिलासपुर संभाग के जिलों में यलो अलर्ट जारी किया गया है। इस दौरान कुछ जिलों में गरज-चमक के साथ बिजली गिरने और हल्की बारिश होने की संभावना है।
बस्तर में 60-70 किलोमीटर प्रति घंटे की रफ्तार से तेज हवाएं चल सकती हैं। यह अधिकतम 80 किमी तक पहुंच सकती है। कल यानी 29 अक्टूबर को रायपुर, दुर्ग और बस्तर संभाग के जिलों में भी तेज हवाओं और बारिश की संभावना है।
पिछले 24 घंटे में बेलगहना में 30 मिमी, पिपरिया, कसडोल, अंतागढ़, छुईखदान और भिंभोरी में लगभग 10 मिमी बारिश दर्ज की गई। रायपुर में अधिकतम तापमान 32.5°C और पेंड्रा में न्यूनतम तापमान 19°C रिकॉर्ड किया गया।
28 अक्टूबर को दक्षिण छत्तीसगढ़ के 5 जिलों में बारिश का रेड अलर्ट। रेड अलर्ट भारी बारिश की चेतावनी होती है।
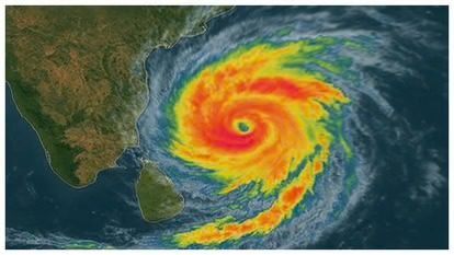
बंगाल की खाड़ी में बना सिस्टम, इस वजह से बारिश
दक्षिण-पूर्व बंगाल की खाड़ी में एक गहरा अवदाब (मजबूत सिस्टम) बना हुआ है। इसके चक्रवाती तूफान में बदलने की आशंका है। इस वजह से आज यानी 28 अक्टूबर को बस्तर संभाग के अधिकांश जिलों में 60 से 70 किमी प्रति घंटे की रफ्तार से हवा चलेगी। भारी बारिश भी होगी।



